Verhuurd:Ecopark 21G, 8305 BJ Emmeloord - Foto
Verhuurd
+11

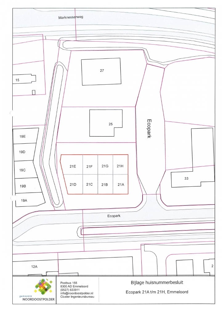
Ecopark 21G 8305 BJ Emmeloord

  • Bedrijfshal
  • Bouwjaar 2024
  • 2.655 m² perceeloppervlakte
  • 225 m² vloeroppervlakte

Beschrijving

Te huur: Ecopark 21-G te Emmeloord

Ontdek de perfecte locatie voor jou bedrijf in het gloednieuwe bedrijfsverzamelpand op het Ecopark te Emmeloord. Het geheel staat op een kavel van ca. 2.655 m², en bestaat uit 8 multifunctionele bedrijfsloodsen. Daarvan bieden wij te huur aan een loods met een oppervlakte van ca. 225 m² BVO waarvan ca. 150 m² begane grond en ca. 75 m² verdieping. De loodsen onderscheiden zich door het gebruik van hoogwaardige materialen met een hoge isolatiewaarde. De begane grond biedt voldoende ruimte voor productie en opslag, terwijl de handige verdieping extra mogelijkheid biedt voor extra opslag of kantoor-, kantineruimte.

Bereikbaarheid
De locatie is uitstekend te bereiken, op korte afstand van de autosnelweg A6 en de oprit richting de N50. Het stadscentrum is binnen enkele minuten bereikbaar.

Oppervlakte
Totaal 225 m², ca. 150 m² BVO begane grond (ca. 10,60 x 14 meter) en ca. 75 m² op de verdieping (ca. 5.30 x 14 meter);
Nokhoogte ca. 7,50 meter; verdieping ca. 3,50 meter. Overheaddeur ca. 4,00 x 4,50 (bxh) meter.

Voorzieningen
- Overheaddeur (elektrische aandrijving is optioneel);
- Meterkast (3x 25A);
- Verlichting (20 led armaturen);
- 1x dubbele wandcontactdoos 230V en 1x wandcontactdoor 380V;
- Glasvezel;
- Watermeter;
- Loopdeur;
- Afgedopte afvoer voor mogelijke toiletruimte;
- Verdiepingsvloer van hout te bereiken via een vaste trap;
- Mandeling buitenterrein met parkeergelegenheid;

Omschrijving
- Betonvloer heeft een vloerbelasting van 1.250 kg/m²;
- Raampartijen verdieping voor mogelijk daglicht kantoor- kantine;

Huurovereenkomst
Volgens het model kantoorruimte en andere bedrijfsruimte in de zin van artikel
7:230a BW, vastgesteld in 2015 door de Raad voor Onroerende Zaken (ROZ).

Huurperiode
In overleg.

Huurprijzen
Per maand € 1.250,-- excl. btw en excl. energielasten.

Huurprijsaanpassing
Jaarlijks voor het eerst één jaar na de huuringangsdatum, op basis van de wijziging van het prijsindexcijfer volgens de consumentenprijs-index reeks "alle
huishoudens” (2006=100), gepubliceerd door het CBS.

Betalingen
Per maand vooraf middels automatische incasso.

Huurgarantie
Huurder dient een waarborgsom of bankgarantie te stellen groot twee maanden huur, te vermeerderen met de BTW.

BTW
Huurder verklaart dat hij voor tenminste 90% met omzetbelasting belaste prestaties verricht. Indien huurder op enig moment niet meer aan dit criterium
voldoet, zal er van rechtswege sprake zijn van omzetbelasting vrijgestelde verhuur. Alsdan wordt de overeengekomen huurprijs, exclusief omzetbelasting,
zodanig verhoogd dat het voor verhuurder ontstane financiële nadeel wordt gecompenseerd.

Oplevering
In overleg.

Voorbehoud
Goedkeuring eigenaar/verhuurder.

Reclamevoering
Huurder heeft alleen dan het recht om een reclameaanduiding aan te brengen op of aan het gebouw en/of voor het gebouw, na het verkrijgen van
de benodigde vergunning(en) door huurder te verzorgen, en na overleg met en na goedkeuring van de eigenaar/verhuurder.

Aan deze presentatie kunnen geen rechten worden ontleend.

Kaart

Kenmerken

Overdracht

Referentienummer
05930
Huurprijs
€ 1.250,- per maand
Status
Verhuurd
Aanvaarding
In overleg
Aangeboden sinds
Woensdag 4 maart 2026
Laatste wijziging
Maandag 20 april 2026

Bouw

Type object
Bedrijfshal
Soort bouw
Bestaande bouw
Bouwperiode
2024

Oppervlaktes en inhoud

Perceeloppervlakte
2.655 m²
VVO
225 m²
In units vanaf
225 m²
Vrije hoogte
7,5 m.
Draagvermogen
1.250 kg/m²

Uitrusting

Uitrusting
Betonvloer
Overheaddeuren

Kadastrale gegevens

Kadastrale aanduiding
Noordoostpolder AZ 13541
Perceeloppervlakte
2.655 m²
Omvang
Geheel perceel

Media

Foto's

Video

Plattegronden

Brochure(s) en overige bijlagen

Ecopark 21-G, 8305 BJ EMMELOORD (1) Download